FourWinds10.com - Delivering Truth Around the World
Custom Search

Dogs suffer cancer after ID chipping

Chelsea Schilling

Smaller Font Larger Font RSS 2.0

Seamus (Copyright Howard Gillis 2010. All rights reserved.)

Do implanted microchips cause cancer in dogs and cats?

That's the question owners are asking after highly aggressive tumors developed around the microchip implants of two dogs, killing one and leaving the other terminally ill.

The owners – and pathology and autopsy reports – suggest a link between the chips and formation of fast-growing cancers.

'I could see it taking his life'

A 5-year-old bullmastiff named Seamus died last month after developing a hemangio-sarcoma – a malignant form of cancer that can kill even humans in three to six months, explains privacy expert, syndicated radio host and best-selling author Dr. Katherine Albrecht.

Albrecht, an outspoken opponent of implantable microchips, has been contacted by pet owners after their animals experienced what they believe to be side effects from the procedure.

According to a pathology report, Seamus' tumor appeared between his shoulder blades last year, and by September a "large mass" had grown with the potential to spread to his lungs, liver and spleen.

Seamus underwent emergency surgery, and doctors extracted a 4-pound, 3-ounce tumor from the dog. They used four drains to remove fluid from the area in which the tumor had developed. The veterinarian informed the dog's owner, Howard Gillis, that there had been two microchips embedded in Seamus – one presumably inserted by the dog's breeder when Seamus was only 9 months old. The chips were both located in and around the tumor.

In just three months, the cancer returned. Seamus, a once energetic dog, struggled to walk.

Seamus "was 150 pounds of heart," Howard Gillis, the dog's owner, said in a recent interview. "He wanted to live."

Read the whole story: Get "Spychips: How Major Corporations and Government plan to Track your every Move"

Gillis explained that he "got the microchip because I didn't want him stolen. I thought I was doing right. There were never any warnings about what a microchip could do, but I saw it first-hand. That cancer was something I could see growing every day, and I could see it taking his life … It just ate him up."

To end the suffering, Seamus was put to sleep in February.

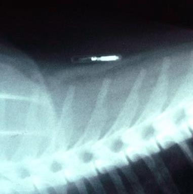
Microchip embedded inside tumor

Scotty (Copyright Linda Hawkins 2010. All rights reserved.))

Albrecht told the story of another dog, a 5-year-old Yorkshire terrier named Scotty that was diagnosed with cancer in Memphis, Tenn. Scotty developed a tumor between his shoulder blades, in the same location where the microchip had been implanted. The tumor the size of a small balloon – described as malignant lymphoma – was removed. Scotty's microchip was embedded inside the tumor.

Scotty was given only a year to live. His owner, Linda Hawkins, said the veterinarian was skeptical that a chip implant could cause cancer.

In Scotty's December pathology report, the doctor wrote: "I was previously suspicious of a prior unrelated injection site reaction" beneath the tumor. "However, it is possible that this inflammation is associated with other foreign debris, possibly from the microchip."

The doctor said the chip was coated with a translucent material to keep the microchips from moving around the body. "This coating could be the material inciting the inflammatory response," he wrote.

A national pet recovery and identification network, asked a vet to review the pathology report, according to Hawkins. The company reported that the chip was not the cause of the tumor. However, Hawkins said the company sent her a $300 check to pay for medical expenses.

"I find it hard to believe that a company will just give away $300 to somebody who calls in, unless there is something bad going on," Hawkins said.

Hawkins reported spending $4,000 on medical treatment for Scotty since December.

Scotty's scar following surgery to remove tumor (Copyright Linda Hawkins 2010. All rights reserved.)

"Scotty is just a baby," she said. "He won't live the 15 years he's supposed to … I did something I thought a responsible pet owner should – microchip your pet – and to think that it killed him … It just breaks your heart."

Albrecht cited other reports of animals who suffered adverse reactions following implantation of microchips. Two other dogs experienced malignant tumors.

A French bulldog named Léon developed a lump at the microchip site only eight months after implantation. A biopsy indicated that Léon had a fibrosarcoma, an aggressive form of cancer.

As WND reported just last year, a Chihuahua named Charlie Brown experienced another outcome from the chipping procedure. He bled to death.

"I wasn't in favor of getting Charlie chipped, but it was the law," said Lori Ginsberg, the Chihuahua's owner, citing an ordinance that requires all dogs over the age of four months in unincorporated Los Angeles County be microchipped. Dog owners who refuse to comply face a $250 fine for the first offense and up to six months in jail and $1,000 fine for continued non-compliance.

"This technology is supposedly so great until it's your animal that dies," she said. "I can't believe Charlie is gone."

Likewise, in 2007, the Associated Press reported, "A series of veterinary and toxicology studies, dating to the mid-1990s, stated that chip implants had 'induced' malignant tumors in some lab mice and rats." They developed subcutaneous "sarcomas" – most of them encasing the implants.

Keith Johnson, a retired toxicologic pathologist, led a 1996 study at the Dow Chemical Co. in Midland, Mich.

"The transponders were the cause of the tumors," he told the AP.

Dr. Katherine Albrecht

Albrecht has authored a 52-page peer-reviewed article, titled "Microchip-Induced Tumors in Laboratory Rodents and Dogs: A Review of the Literature," in which she discusses literature published in oncology and toxicology journals between 1990 and 2006 that address the effects of implanted radio-frequency microchips on laboratory rodents and dogs.

Albrecht has been invited to present her findings at a June conference for the Institute for Electronic and Electrical Engineers, the world's leading professional association for the advancement of technology.

She said it is important that the public be made aware of the potential hazards of microchipping because some governments are seeking to make dog chipping mandatory. For example, the British government recently announced its proposal to impose penalties on pet owners who do not comply with chipping requirements. Ireland, New Zealand, Malta, Norway, Switzerland, Austria, Croatia, Italy and Portugal and even some places in the United States require mandatory microchipping. Likewise, USA Today reported Colorado requires implanting microchips in dogs that injure someone. Minnesota enacted a similar law in 2001, and in Virginia, dangerous dogs are required to have either a microchip or an identifying tattoo on the inner thigh.

Asked how prevalent the problem of pets developing cancerous growths following chip implantation really is, Albrecht told WND, "That's what we don't know, and that's why we are hoping the veterinary community will at least start to acknowledge these problems and start to report on these cases as they turn up. It seems there's a widespread lack of awareness in the veterinary community about this problem."

FDA: No studies linking chip implantation to cancer

In 2004, after investigating microchipping, the Food and Drug Administration found the process to be safe enough for use in humans and animals. In 2007, the New York Times reported federal regulators said animal data had been considered in the review of chip implantation in humans and that there were no controlled scientific studies linking chip implantation to cancer in dogs and cats. Lab rodents were said to be more prone than other animals to develop tumors from all types of injections.

"If there are any cancers from the chips, they are so rare that losing pets is far more serious," Dr. Lawrence D. McGill, a veterinary pathologist at Animal Reference Pathology, a veterinary laboratory in Salt Lake City, told the Times.

Likewise, the American Veterinary Medical Association website states, "Tumors associated with microchips in two dogs were reported, but in at least one of these dogs the tumor could not be directly linked to the microchip itself (and may have been caused by something else). … the risk that your animal will develop cancer due to its microchip is very, very low, and is far outweighed by the improved likelihood that you will get your animal back if it becomes lost."

However, Albrecht noted that side effects resulting from FDA-approved devices for human use are required to be reported, while those resulting from use of animal devices are not.

"If it's for animal use, there's no requirement," she said. "We suspect this is happening quite frequently, and it's simply not being reported."

Microchip inserted into pet (photo: Atascadero Pet Hospital and Emergency Center)

'Pet owners should be clearly advised'

Neither Albrecht nor the American Veterinary Medical Association recommend having microchips removed from pets that exhibit no reactions after the chips have been implanted because doing so would require invasive surgery. However, in her research paper, Albrecht recommends that policymakers "reverse all policies that mandate the microchipping of animals under their jurisdiction or control," including reversal of state and local ordinances and chipping policies at animal shelters.

She advocates a voluntary system of microchipping at the discretion of pet owners and asks that veterinarians familiarize themselves with research findings regarding adverse reactions before recommending implants for animals.

Albrecht also states, "Pet owners should be clearly advised of the research linking the microchip to cancer in rodents and dogs when seeking advice about the chipping procedure or choosing to have it done to their pets."

According to the paper, pet owners should routinely inspect the microchip site on their animals for unusual lumps or swelling and immediately report abnormalities.

Albrecht argues that it is far more efficient to fit dogs and cats with tags that contain owner contact information rather than chipping an animal and expecting the person who finds him to take him to a clinic or shelter to read the microchip.

"Then, if your neighbor finds your dog, rather than having to turn your dog in to the animal shelter where it might be put to sleep, your neighbor can call you and tell you they have him," she said.

As for pet owners who have not sought the procedure for their animals and are unsure of whether they should, Albrecht noted, "If a pet's not currently microchipped, it may be best to keep them that way."

Editor's note: Dr. Albrecht encourages pet owners who have similar experiences with implantable microchips to contact her and share their stories.

www.wnd.com/index.php

March 24, 2010